spotify
  • logoheader
  • Primera Plana
  • Tabasco
  • Política
  • Nacional
  • Internacional
  • Policiaca
  • Viral
  • Deportes
  • ESPECTÁCULOS
  • Videos
  • EL LEGADO
  • GRABADOS
  • ENTREVISTAS
  • EDICIONES ANTERIORES

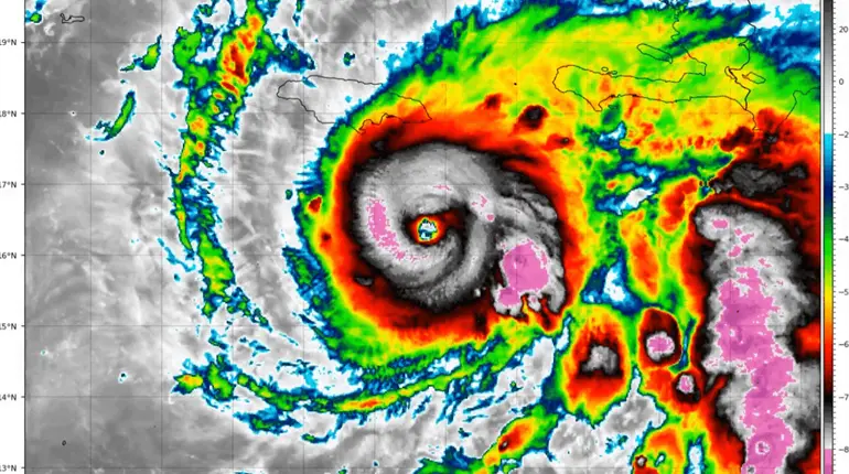
VIENTOS 225 KM/H

Huracán Melissa ya es categoría 4 en el Caribe este domingo

Huracán Melissa ya es categoría 4 en el Caribe este domingo

Por: Francisco Bautista Villegas | Octubre 26, 2025 No afecta México

Últimas noticias

Grecia Quiroz, esposa de Carlos Manzo, encabeza preferencia electoral para la gubernatura de Michoacán: Poligrama

Grecia Quiroz, esposa de Carlos Manzo, encabeza preferencia electoral para la gubernatura de Michoacán: Poligrama

Por: René Camacho Marín | Noviembre 11, 2025

Movimiento del Sombrero y Generación Z preparan marchas en 24 entidades

Movimiento del Sombrero y Generación Z preparan marchas en 24 entidades

Por: Francisco Bautista Villegas | Noviembre 11, 2025

Árboles caídos, vados y encharcamientos dejan lluvias de últimas horas en Tabasco: PC

Árboles caídos, vados y encharcamientos dejan lluvias de últimas horas en Tabasco: PC

Por: Michel Balcázar | Noviembre 11, 2025

Director de Miss Universe México, desmiente haber sido detenido en Tailandia

Director de Miss Universe México, desmiente haber sido detenido en Tailandia

Por: Andrés Olmos | Noviembre 11, 2025

Reporta IPCET vado en la carretera Villahermosa-Teapa; hay paso para todo tipo de vehículo

Reporta IPCET vado en la carretera Villahermosa-Teapa; hay paso para todo tipo de vehículo

Por: Francisco Bautista Villegas | Noviembre 11, 2025

Javier May niega rompimiento con Adán Augusto, "hay una buena comunicación", afirma

Javier May niega rompimiento con Adán Augusto, "hay una buena comunicación", afirma

Por: Candelario Osorio León | Noviembre 10, 2025

Acusa Rodríguez Prats que quieren adelantar la revocación de mandato para echarle el estado encima a la oposición en 2027

Acusa Rodríguez Prats que quieren adelantar la revocación de mandato para echarle el estado encima a la oposición en 2027

Por: Francisco Bautista Villegas | Noviembre 10, 2025

6 accidentes por lluvias este lunes en Centro y Nacajuca dejan 3 heridos y 9 vehículos siniestrados

6 accidentes por lluvias este lunes en Centro y Nacajuca dejan 3 heridos y 9 vehículos siniestrados

Por: Heber Alejo | Noviembre 10, 2025

XEVT

Plaza Bugambilia Local 97. Fraccionamiento Oropeza.

Codigo Postal: 86030 Villahermosa, Tabasco, México.

Telefono: +52 (993) 315.22.23

Nosotros

  • Historia de Telereportaje
  • Premio Nacional de Periodismo 2013
  • Historia de XEVT
  • Jesús Antonio Sibilla Zurita
  • Información de la Estación
  • Contáctanos

© 2025 XeVT - Todos los derechos reservados.

+