Huracán Melissa ya es categoría 4 en el Caribe este domingo
No afecta México
- Francisco Bautista Villegas
- Octubre 26, 2025 - 08:05 a.m.
- INTERNACIONAL

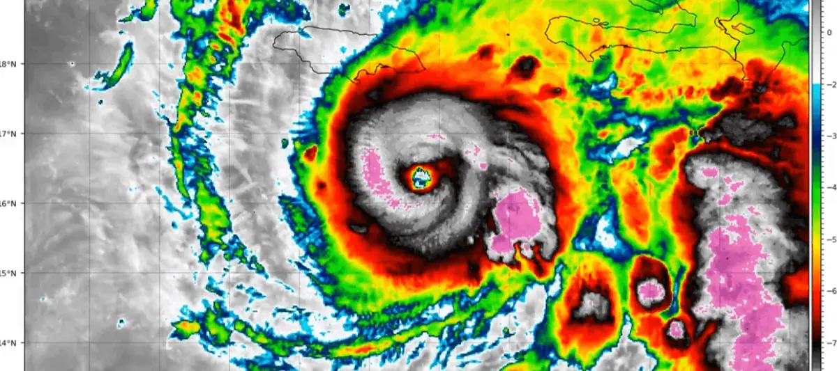
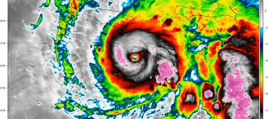
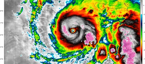
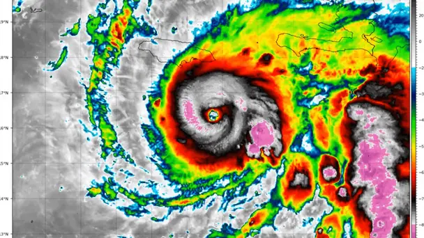
El huracán Melissa alcanzó la categoría 4 mientras avanza lentamente hacia las islas caribeñas de Jamaica y La Española.
El Centro Nacional de Huracanes (CNH) de Estados Unidos informó este domingo que alcanzó vientos de unos 225 km/h.
Melissa ya dejó tres personas muertas en Haití, mientras República Dominicana reportó el sábado un fallecido de 79 años y un adolescente de 13 desaparecido durante el temporal.
El Centro de Operaciones de Emergencias dominicano ha alertado por inundaciones repentinas y deslizamientos de tierra.
Además, fueron activados los albergues en la isla.
En los primeros minutos de este domingo, Melissa se encontraba a unos 190 kilómetros al sureste de la capital jamaicana, Kingston, y a unos 450 kilómetros al suroeste de Guantánamo, en Cuba.
El huracán se desplazaba a unos 8 km/h, lo que significa que podría azotar ambos países durante días antes de dirigirse hacia el norte y amenazar el este de Cuba.
Short Link: https://is.gd/pifBar
Comentarios